2024 Street Paving Program

Project Overview

Adams County and Martin Marietta are scheduled to begin an important street maintenance program paving eight different areas of Adams County beginning May 2024. The scope of work will include asphalt milling, tack and aggregate application, patching, overlay and striping. Please reference the overview map for specific paving locations. If problems or concerns arise that the Contractor is not resolving, please contact the Adams County Infrastructure and Stormwater Manager at 720.523.6840.

(Click to enlarge)

2024 Paving Program Overview Map 2024 Paving Program Areas 1 & 2
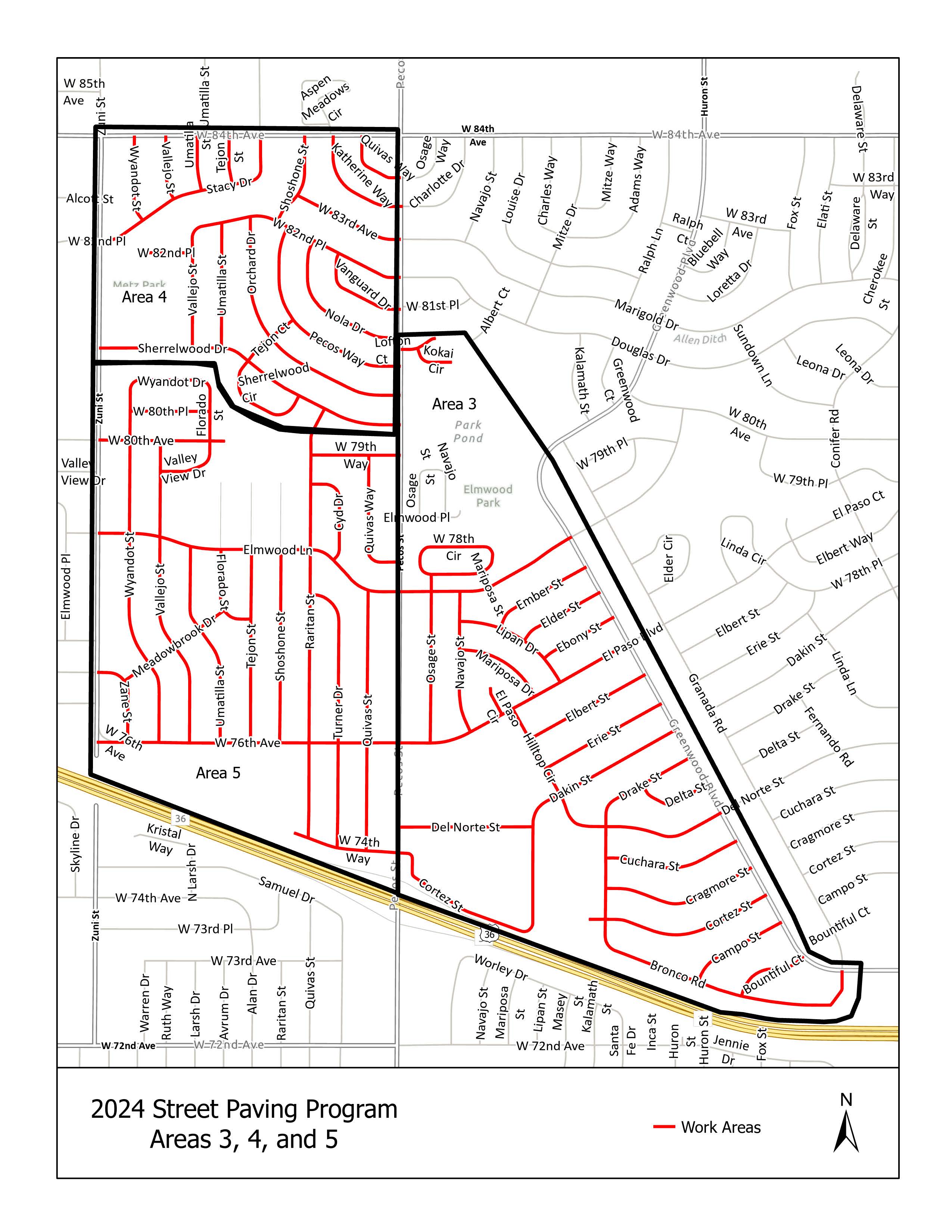
2024 Paving Program Overview Map Areas 3, 4, and 5 2024 Paving Program2024 Paving Program Areas

Project Schedule

The project is set to begin May 28 and conclude in August 2024. Working hours will be 8 a.m.-4:30 p.m., Monday-Friday.

Community Meeting

Thursday, May 23, 5-6 p.m.
Reunion Recreation Center
17910 Parkside Dr. N, Commerce City

Travel Impacts

Drivers should expect flagging operations, alternating lane closures, delays and no parking zones. Go slow for the cone zone!